
※ 본 내용은 유튜브 채널 '책밖과학'에서 제공하며, 타 블로그 및 유튜브 채널에서의 사용을 절대 금지합니다.
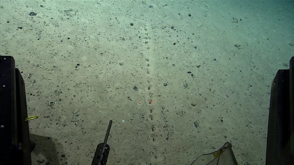
며칠 전, 아주 깊은 해저에서 이상한 구멍들이 발견되었습니다.
발견 당시 이 구멍들은 상당히 규칙적인 형태로 배열되어 있었는데요.
과학자들은 즉시 이 구멍들의 정체를 알아내기 위해 분석을 진행했습니다.
하지만 아쉽게도 이 구멍들의 정체를 알아내는데는 실패하고 말았죠.
그래서 과학자들은 이 사진을 인터넷에 공개하고 사람들에게 도움을 요청했습니다.
과연 이 구멍들의 정체는 무엇일까요?
이 구멍들은 약 2.6km 깊이의 대서양의 해저에서 발견되었습니다.
발견 당시 이 구멍들은 상당히 균일한 패턴으로 정렬되어 있었는데요.
만약 이 구멍들이 지표면에서 발견되었다면, 가장 먼저 인간을 의심했을 겁니다.

하지만 이곳은 대서양의 해저이기 때문이 인간의 흔적일 가능성은 낮아 보입니다.
구멍의 안쪽을 들여다보면 정말 좋을 것 같은데, 이는 기술적으로 불가능했다고 합니다.
그래서 현재 과학자들은 이 구멍들의 정체에 대해서 전혀 특정하지 못하고 있습니다.
일단 구멍 주변을 잘 살펴보면, 여기저기 널부러져 있는 작은 퇴적물들을 볼 수가 있는데요.
이러한 퇴적물들은 이 구멍들과 어떻게든 관련되어 있을 가능성이 있어 보입니다.
그런데 이상한 점은, 이 구멍에서 살아있는 유기체의 흔적이 전혀 발견되지 않았다는 겁니다.
결국 과학자들은 이 사진을 SNS에 올려서 사람들에게 도움을 요청했는데요.
그리고 이 사진을 살펴본 많은 사람들은 크게 3가지의 가설을 제안했습니다.

첫 번째는, 메탄 가스에 의해 구멍들이 만들어졌을 가능성입니다.
메탄이나 황화수소 등은 퇴적물에서 쉽게 축적될 수 있는데요.
이렇게 축적된 가스들이 해저에 구멍을 뚫고 솟아 올라왔을 수 있다는 겁니다.
그런데 구멍의 형태를 잘 보면 굉장히 반듯하다는 것을 알 수 있습니다.
일반적으로 가스의 방출은 이렇게 규칙적이고 반듯한 흔적을 남길 수 없죠.
가능성은 높지는 않지만, 메탄 등의 가스가 일으킨 지질학적 과정이 이 구멍을 만들었을 수 있습니다.

두 번째는, 아직 알려지지 않은 게와 비슷한 생물이 만들었을 가능성입니다.
어쩌면 대서양의 해저에는 아직 발견되지 않은 게와 비슷한 생물이 살고 있을 수 있습니다.
이 생물들은 일렬로 무리를 지어다니며, 사각형의 구멍을 만들어 숨어있을 수 있죠.
그런데 어떠한 게의 종이 2.6km의 깊은 해저에서 이러한 구멍을 만들 수 있을까요?
또는, 해저의 구멍을 뚫어 먹이를 찾는 어떠한 생물의 행동 때문일 수도 있습니다.
예를 들면, 어떠한 새들은 갯벌에 일렬로 구멍을 뚫어 먹이를 잡아먹기도 합니다.
하지만 어떠한 심해 생물이 이렇게 규칙적인 구멍을 만들 수 있는지는 잘 모르겠습니다.

그리고 마지막으로, 해저에 살고 있는 벌레가 이 구멍을 만들었을 가능성입니다.
사실 대서양의 해저에는 정말 다양한 종류의 벌레들이 살아가고 있는데요.
그 중에서 가장 대표적인 벌레가 바로 왕털갯지렁이라는 생물입니다.
왕털갯지렁이는 해저에 구멍을 파고 몸을 숨긴채 입만 바깥으로 내밀어 먹이를 잡아먹습니다.

그리고 장소를 계속 이동 하면서 해저에 이와 비슷한 형태의 구멍들을 계속 남기고 있죠.
하지만 왕털갯지렁이는 이동하는 과정에서 기존의 구멍을 대부분 망가뜨립니다.
그런데 이번에 발견된 구멍에서는 망가진 흔적이 전혀 발견되지 않았습니다.
물론 우연히 구멍을 망가뜨리지 않고, 다른 곳으로 이동했을 가능성도 배제할 수 없습니다.
하지만 문제는, 왕털갯지렁이가 발견된 가장 낮은 해저의 깊이가 95미터라는 겁니다.
물론 더 깊은 곳에서 살 수도 있겠지만, 왕털갯지렁이의 가능성은 조금 낮어졌다고 할 수 있습니다.
그렇다면 어떠한 벌레가 2.6km의 해저에서 이렇게 규칙적인 구멍을 만들었을까요?
암튼, 이 외에도 가스 관이나 고대 문명이 남겨 놓은 흔적 또는 지구의 절취선 등의 가설들이 제안되었습니다.
현재 과학자들은 이 중에서 세 번째 가설이 가장 가능성이 높다고 생각하고 있습니다.

사실 이러한 구멍들은 과거에도 대서양의 해저에서 여러 차례 발견된 적이 있었는데요.
물론 당시의 과학자들도 이 구멍의 정체를 밝혀내는데는 끝내 실패했었습니다.
당시 과학자들은, 이 구멍이 파충류에 의해 파헤쳐진 흔적일 가능성이 있다고 결론내렸었죠.
아쉽게도 이 구멍의 정체를 밝히는데는 더 많은 시간이 소요될 것으로 보입니다.
과학자들은 대서양의 해저를 매핑하는 작업을 올해 가을까지 진행할 예정인데요.
이번의 탐사 과정에서, 이 구멍을 만들어낸 정체를 포착할 수 있었으면 좋겠습니다.
과연 무엇이 2.6km의 깊은 해저에 이렇게 규칙적인 구멍을 남겨놓은 걸까요?
https://youtu.be/Oava9X2ac6U?si=EdQDyJwJ-zaJpGmN
2022.07.30 - [분류 전체보기] - 과학자들은 죽은 거미를 다시 일으켜 세웠습니다.
과학자들은 죽은 거미를 다시 일으켜 세웠습니다.
죽은 자를 일으키는 무시무시한 마법사, 네크로맨서. (사실 영혼을 불러내 점치는 사람을 일컫지만 대부분은 이런 의미로 사용됩니다.) 네크로맨서는 시체나 유골을 일으켜 자신의 수족처럼 부
livelive.tistory.com
2022.07.27 - [지구・ 생명] - 여성의 가슴이 다른 동물들보다 더 큰 이유
여성의 가슴이 다른 동물들보다 더 큰 이유
지구에 존재하는 암컷 포유류들은 모두 유방을 가지고 있습니다. 하지만 유방의 크기는 포유류의 종에 따라서 크기와 모양이 서로 다른데요. 그중에서도 특히 인간의 유방이 다른 포유류들과
livelive.tistory.com
2022.07.23 - [지구・ 생명] - 제임스 웹이 우주에서 가장 오래된 은하를 발견했습니다.
제임스 웹이 우주에서 가장 오래된 은하를 발견했습니다.
이번에도 제임스 웹에 대한 소식입니다. 왜냐하면 제임스 웹이 또 엄청난 것을 발견했기 때문입니다. 이번에는 아주 깊은 극초기의 우주에서 고대의 은하를 찾아냈는데요. 이 은하는 우리에게
livelive.tistory.com
| 이러한 죽음은 피하고 싶다! 과학자들이 뽑은 가장 최악의 죽음 5 (1) | 2022.08.10 |
|---|---|
| 제임스 웹 망원경을 능가하는 차세대 괴물 망원경 3가지! (0) | 2022.08.03 |
| 우리의 얼굴 위에서 짝짓기하고 똥을싸는 기생충 (2) | 2022.06.27 |
| 구글의 엔지니어는 AI에 지각이 있다고 폭로합니다. (0) | 2022.06.17 |
| 결국 NASA가 UFO를 직접 연구하기로 결정했습니다! (0) | 2022.06.14 |